Description
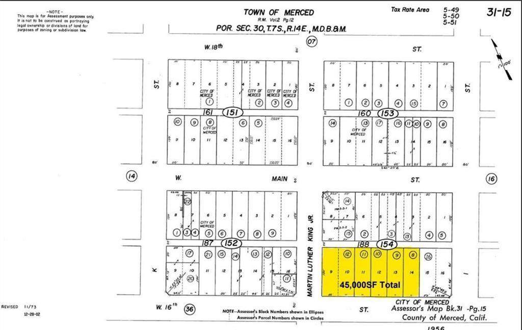
Prime Downtown Merced Commercial Portfolio - 5 Contiguous C-C Parcels. Rare bulk sale opportunity consisting of five contiguous Central Commercial (C-C) zoned parcels totaling approximately 1.03 acres. All Fully improved commercial lots with utility hookups in place and precious home of Kentucky Fried Chicken drive through. The hard corner consists of a 15,000 SF parcel and operates as the established Downtown Grubs'' food truck plaza, generating strong foot traffic with potential gross rents of approximately $15,000 per month. Improvements include: a 2,500 SF retail building currently supporting food truck operations (restrooms, storage, utility sinks). A 6,000 SF retail warehouse leased to an antique & collectibles dealer at $4,125/month gross. All tenants are on month-to-month leases, offering flexibility for investors or owner-users. Located within walking distance to Downtown Merced and near major national retailers including Chick-fil-A (new site), Starbucks, In-N-Out, Popeyes, and Taco Bell. Excellent proximity to Hwy 99 and downtown landmarks such as UC Merced Downtown Campus Center, El Capitan Hotel, and the Mainzer Theatre. Strong existing income with redevelopment and value-add potential in a high-visibility commercial corridor.
-
0BEDS
-
0.34ACRES
-
0BATHS
-
01/2 BATHS
School Information
Description
Prime Downtown Merced Commercial Portfolio - 5 Contiguous C-C Parcels. Rare bulk sale opportunity consisting of five contiguous Central Commercial (C-C) zoned parcels totaling approximately 1.03 acres. All Fully improved commercial lots with utility hookups in place and precious home of Kentucky Fried Chicken drive through. The hard corner consists of a 15,000 SF parcel and operates as the established Downtown Grubs'' food truck plaza, generating strong foot traffic with potential gross rents of approximately $15,000 per month. Improvements include: a 2,500 SF retail building currently supporting food truck operations (restrooms, storage, utility sinks). A 6,000 SF retail warehouse leased to an antique & collectibles dealer at $4,125/month gross. All tenants are on month-to-month leases, offering flexibility for investors or owner-users. Located within walking distance to Downtown Merced and near major national retailers including Chick-fil-A (new site), Starbucks, In-N-Out, Popeyes, and Taco Bell. Excellent proximity to Hwy 99 and downtown landmarks such as UC Merced Downtown Campus Center, El Capitan Hotel, and the Mainzer Theatre. Strong existing income with redevelopment and value-add potential in a high-visibility commercial corridor.
© 2026 MetroList® MLS. All rights reserved. All measurements and all calculations of area are approximate. Information provided by Seller/Other sources, not verified by Broker. All interested persons should independently verify accuracy of information. Provided properties may or may not be listed by the office/agent presenting the information. Data last updated 2026-03-15T10:38:56.783. MetroList® MLS Terms of Use. IDX provided by BoomTown.