Description
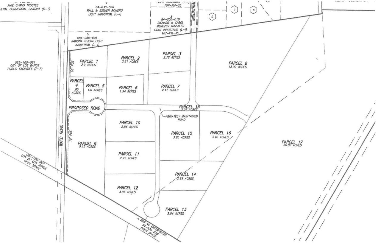
There's a wonderful opportunity in acquiring a parcel or parcels within the Ward Industrial Park, a prime Industrial zoned development site consisting of nearly 119 acres, with 17 individual parcels of vacant land in Los Banos, CA. The Subject property is situated just off Highway 152 (Pacheco Blvd), approximately 8 miles from Interstate 5, Ward Industrial Park offers an advantageous location for import and export distribution trucking routes. With its highly flexible industrial zoning, the site presents a multitude of opportunities for industrial development. Positioned at a prominent intersection within a Residential Growth Area, & is near the Los Banos Municipal Airport, the park is primed for growth and accessibility. The subject property is surrounded by numerous national credit retailers including Home Depot, Target, Walmart Supercenter, Hobby Lobby, Tractor Supply Co, Food-4-Less, etc. Designated as the Business Opportunity Area within the City's General Plan, Pioneer Roads Land Use Element envisions a blend of industrial, office, and commercial parks. To facilitate the orderly development anticipated by the General Plan, the West Connector will emerge as a vital component four-lane arterial street poised to accommodate future growth effectively.
-
0BEDS
-
3.28ACRES
-
0BATHS
-
01/2 BATHS
-
142,877SQFT
-
$11$/SQFT
School Ratings & Info
Description
There's a wonderful opportunity in acquiring a parcel or parcels within the Ward Industrial Park, a prime Industrial zoned development site consisting of nearly 119 acres, with 17 individual parcels of vacant land in Los Banos, CA. The Subject property is situated just off Highway 152 (Pacheco Blvd), approximately 8 miles from Interstate 5, Ward Industrial Park offers an advantageous location for import and export distribution trucking routes. With its highly flexible industrial zoning, the site presents a multitude of opportunities for industrial development. Positioned at a prominent intersection within a Residential Growth Area, & is near the Los Banos Municipal Airport, the park is primed for growth and accessibility. The subject property is surrounded by numerous national credit retailers including Home Depot, Target, Walmart Supercenter, Hobby Lobby, Tractor Supply Co, Food-4-Less, etc. Designated as the Business Opportunity Area within the City's General Plan, Pioneer Roads Land Use Element envisions a blend of industrial, office, and commercial parks. To facilitate the orderly development anticipated by the General Plan, the West Connector will emerge as a vital component four-lane arterial street poised to accommodate future growth effectively.
© 2025 MetroList® MLS. All rights reserved. All measurements and all calculations of area are approximate. Information provided by Seller/Other sources, not verified by Broker. All interested persons should independently verify accuracy of information. Provided properties may or may not be listed by the office/agent presenting the information. Data last updated 2025-12-13T10:41:43.847. MetroList® MLS Terms of Use. IDX provided by BoomTown.